Ciencia y Tecnología
Se han reportado graves fallas en los sistemas de navegación y en el suministro eléctrico en toda Venezuela, lo que ha provocado apagones en varias regiones, según fuentes locales y observadores internacionales.
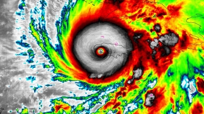
Las autoridades meteorológicas confirmaron que se esperan vientos catastróficos, inundaciones repentinas y marejadas ciclónicas en la isla.
"De ser necesario, si existe la voluntad y la decisión políticas, Rusia podría comenzar la producción en serie del Burevéstnik con bastante rapidez", señalan expertos.
El miércoles por la noche, la estación de radio militar UVB-76, conocida como "Buzzer", transmitió una serie de mensajes inusuales compuestos por palabras crípticas.
Más...
Un tribunal dictaminó que el delito no fue lo suficientemente grave para deportar al agresor a su país de origen.
El contenido de baja calidad de las redes sociales afecta significativamente al rendimiento de los modelos de lenguaje, descubrió un reciente estudio. La basura de Internet también intoxica a las inteligencias artificiales Imagen creada por inteligencia artificial
El Ministerio de Cultura francés ha declarado que el país no recibirá ninguna indemnización por las pérdidas relacionadas con los objetos, que tienen un "valor patrimonial e histórico inestimable".
El líder estadounidense declaró que "Colombia está fuera de control, y ahora tienen el peor presidente que han tenido nunca".
